Listing Details
Property Description
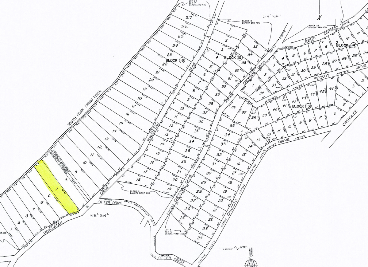
This lot is located on the bluff of the South Fork River and is a beautifully wooded and secluded area with access to the river. Water and electric in area. Perfect spot to build your dream home. Priced to sell! Must take a look. Text/Call: Kelly 901-848-1680 Unimproved residential single family lot on the bluff of the South Fork River in Cherokee Village, Sharp County, Arkansas.
Lake Access: 1
River/Creek: 1
Single Family: 1
Lot: 1
Land: 1
Golf Community: 1
Paved Road: 1
This lot is located on the bluff of the South Fork River and is a beautifully wooded and secluded area with access to the river. Water and electric in area. Perfect spot to build your dream home. Priced to sell! Must take a look. Text/Call: Kelly 901-848-1680 Unimproved residential single family lot on the bluff of the South Fork River in Cherokee Village, Sharp County, Arkansas.
Listed by: Kelly Harrison - King-Rhodes & Associates (Ron Rhodes & Melissa Smith, Broker)
Kelly Harrison
Realtor
901-848-1680
