Details for Listing #26007518

Request Info
Save
Add Note
Login
Create Account
4 Golf Course Area Lots Cherokee Village AR 72529
Vacant Land for sale – 4  Golf Course Area Lots   Cherokee Village, AR View 15 Photos
$3,900
View Calculated Payment
Listing ID: 26007518
Status: Active
Type: Vacant Land
Square Foot:  
Lot Size/Acres: 1
County: Sharp
Print Listing
Property Details

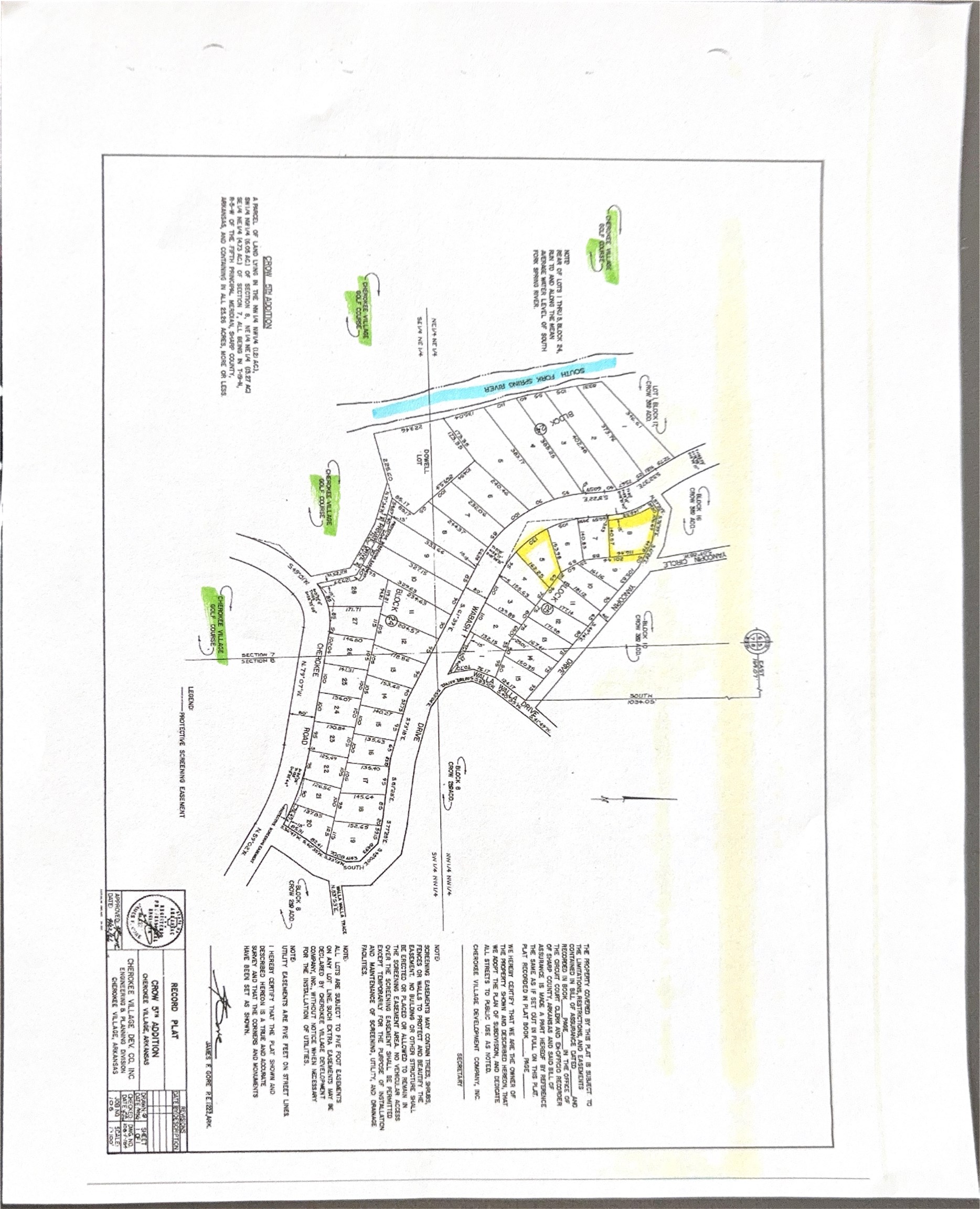
Here is the perfect opportunity to purchase 4 beautiful lots for one closing fee. You will find two lots located close to the North Golf Course, across the road from the Southfork River which runs through Cherokee Village and along side of the popular golf course. These lots are all level ground, perfect for building, with one being a nice corner lot setting on the corner of Wabash Dr and Yancopin Drive. The other two lots are located at the South Golf Course and they too are nice level lots perfect for building. Two lots are located in Fulton County and 2 are in Sharp County but all are within Cherokee Village City Limits.

Here is the perfect opportunity to purchase 4 beautiful lots for one closing fee. You will find two lots located close to the North Golf Course, across the road from the Southfork River which runs through Cherokee Village and along side of the popular golf course. These lots are all level ground, perfect for building, with one being a nice corner lot setting on the corner of Wabash Dr and Yancopin Drive. The other two lots are located at the South Golf Course and they too are nice level lots perfect for building. Two lots are located in Fulton County and 2 are in Sharp County but all are within Cherokee Village City Limits.


In City Limits: Yes

Utilities: Some Util Avl-Not on Prop


Listing Status: Active
Subdivision: Crow 5th

Listed by: Century 21 Portfolio SRAB -

IDX logoIDX Data Provided By Cooperative Arkansas REALTORS® Multiple Listing Services, Inc. Some or all of the listings displayed may not belong to the firm whose website is being visited. Copyright© . The information provided is for the consumer's personal, non-commercial use and may not be used for any purpose other than to identify prospective properties that the consumer may be interested in purchasing. Information deemed reliable, but not guaranteed. Some or all of the listings displayed may not belong to the firm whose web site is being visited.