Details for Listing #25001888

Chetopa Cherokee Village AR 72529
Vacant Land for sale –   Chetopa   Cherokee Village, AR View 5 Photos
$1,200
View Calculated Payment
Listing ID: 25001888
Status: Active
Type: Vacant Land
Square Foot:  
Lot Size/Acres: 0.29
County: Fulton
Print Listing
Property Details

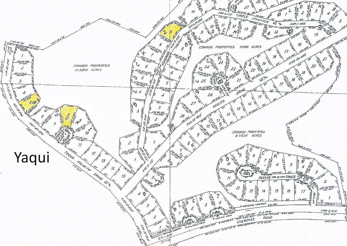
This listing consists of various wooded, undeveloped residential lots located in different subdivisions, Cherokee Village, Fulton County, Arkansas. City water hook up available. Septic system is needed. Purchase of any lot gives you access to all Cherokee Village amenities i.e. 7 lakes, 2 Championship quality golf courses, parks, walking trails, recreation centers, plus the South Fork of the Spring River flows through Cherokee Village. Close to The Spring River for trout fishing, canoeing, tubing, and kayaking. Shopping Ash Flat, Highland and Historic Hardy with numerous antique, Craft, and specialty shops. Call the listing agent and inquire about any or all of the following lots priced @ $1,200 25/13 Yuma - 5/1 Yaqui - 8/1 Yaqui - 9/2 Yaqui - 28/2 Tallahatchi - 12/4 Santa Clara. 15/3 Santa Clara is priced @ $1,500

This listing consists of various wooded, undeveloped residential lots located in different subdivisions, Cherokee Village, Fulton County, Arkansas. City water hook up available. Septic system is needed. Purchase of any lot gives you access to all Cherokee Village amenities i.e. 7 lakes, 2 Championship quality golf courses, parks, walking trails, recreation centers, plus the South Fork of the Spring River flows through Cherokee Village. Close to The Spring River for trout fishing, canoeing, tubing, and kayaking. Shopping Ash Flat, Highland and Historic Hardy with numerous antique, Craft, and specialty shops. Call the listing agent and inquire about any or all of the following lots priced @ $1200 25/13 Yuma - 5/1 Yaqui - 8/1 Yaqui - 9/2 Yaqui - 28/2 Tallahatchi - 12/4 Santa Clara. 15/3 Santa Clara is priced @ $1500


In City Limits: No

Utilities: Some Util Avl-Not on Prop • Septic Sbj Hlth Dpt Apprv • Water-Public • Electric-Co-op • Gas-Propane/Butane • TV-Satellite Dish • Telephone-Private


Listing Status: Active
Subdivision: TALLAHTCHI

Listed by: King-Rhodes & Associates, Inc. -

IDX logoIDX Data Provided By Cooperative Arkansas REALTORS® Multiple Listing Services, Inc. Some or all of the listings displayed may not belong to the firm whose website is being visited. Copyright© . The information provided is for the consumer's personal, non-commercial use and may not be used for any purpose other than to identify prospective properties that the consumer may be interested in purchasing. Information deemed reliable, but not guaranteed. Some or all of the listings displayed may not belong to the firm whose web site is being visited.