Details for Listing #25004048

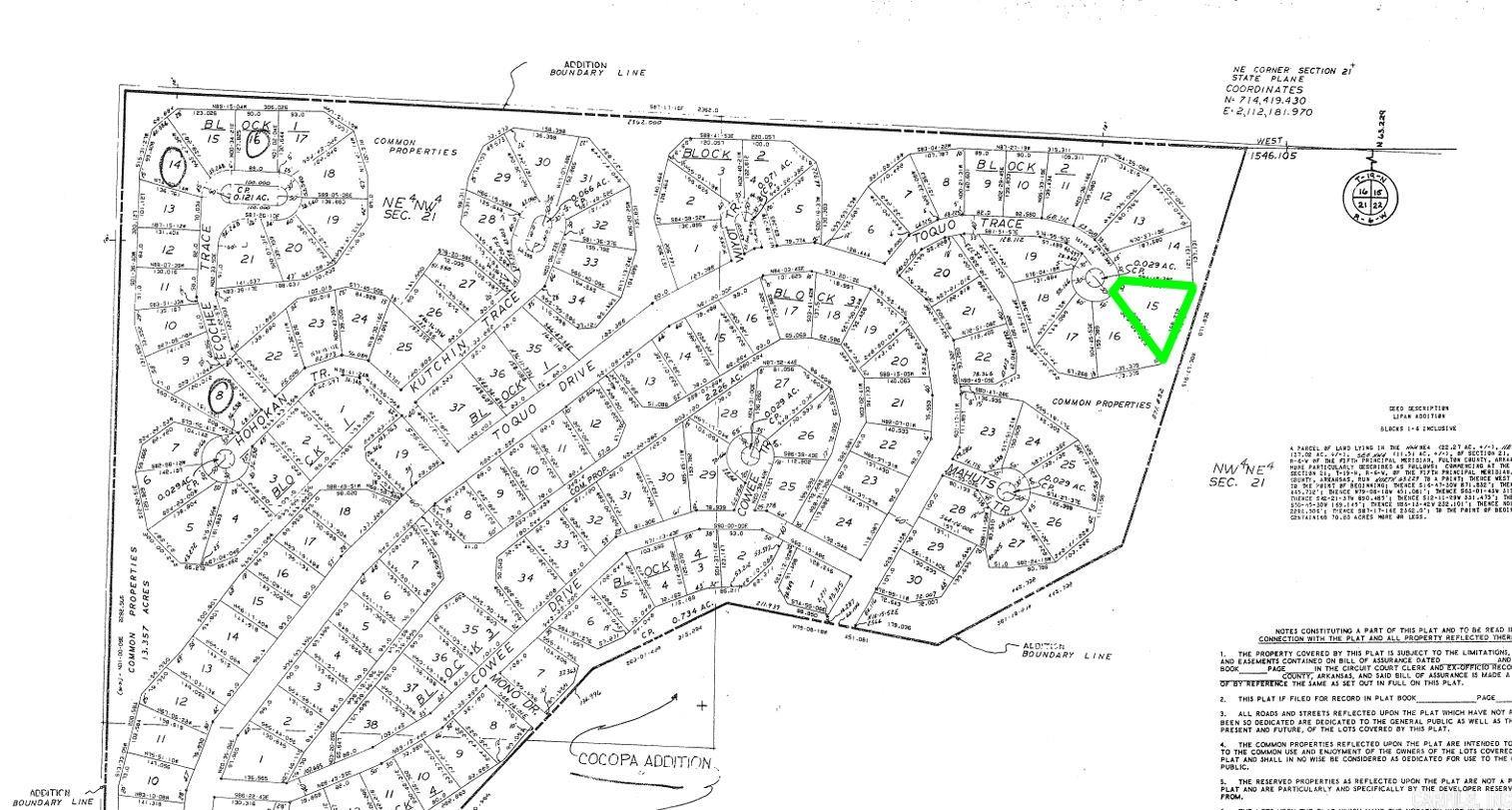
Lot 34 Toquo Cherokee Village AR 72529
Vacant Land for sale – Lot 34  Toquo   Cherokee Village, AR View 5 Photos
$990
View Calculated Payment
Listing ID: 25004048
Status: Active
Type: Vacant Land
Square Foot:  
Lot Size/Acres: 0.25
County: Fulton
Print Listing
Property Details

Buy one lot and get 50% off an additional lot! Owner-finance for easy terms. Cash buyers can pay by debit or credit card as well. Nice lot to develop or hold for future value. Public water and electric are available to run to property and will need septic. Owner/agent. No mobiles allowed. 1000 minimum build size on any other type of home, depending on subdivision. Finance is $100 down and 10 months at $99 and closing costs are included. Lots marked with red banner are part of promotion. No limit on lots. Buyer responsible for any/all taxes and lots sold "as-is". Quit claim deed conveys. Parcel ID# 200-13748-000

Buy one lot and get 50% off an additional lot! Owner-finance for easy terms. Cash buyers can pay by debit or credit card as well. Nice lot to develop or hold for future value. Public water and electric are available to run to property and will need septic. Owner/agent. No mobiles allowed. 1000 minimum build size on any other type of home, depending on subdivision. Finance is $100 down and 10 months at $99 and closing costs are included. Lots marked with red banner are part of promotion. No limit on lots. Buyer responsible for any/all taxes and lots sold "as-is". Quit claim deed conveys. Parcel ID# 200-13748-000


In City Limits: Yes

Utilities: Some Util Avl-Not on Prop


Listing Status: Active
Subdivision: Lipan

Listed by: Exp Realty -

IDX logoIDX Data Provided By Cooperative Arkansas REALTORS® Multiple Listing Services, Inc. Some or all of the listings displayed may not belong to the firm whose website is being visited. Copyright© . The information provided is for the consumer's personal, non-commercial use and may not be used for any purpose other than to identify prospective properties that the consumer may be interested in purchasing. Information deemed reliable, but not guaranteed. Some or all of the listings displayed may not belong to the firm whose web site is being visited.