Details for Listing #25043444

Request Info
Save
Add Note
Login
Create Account
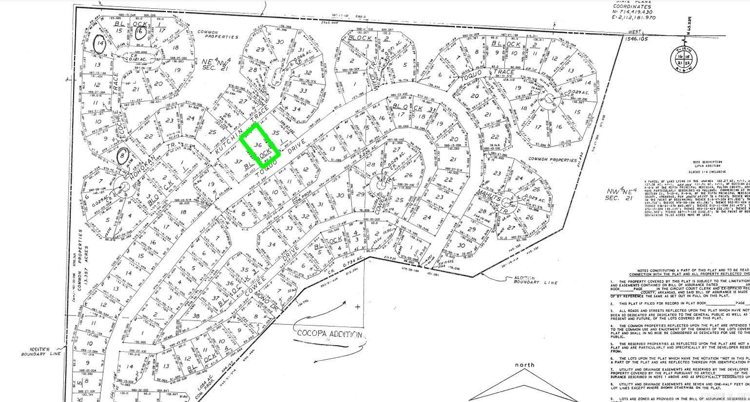
Lot 36 Toquo Cherokee Village AR 72526
Vacant Land for sale – Lot 36  Toquo   Cherokee Village, AR View 6 Photos
$725
View Calculated Payment
Listing ID: 25043444
Status: Contingency
Type: Vacant Land
Square Foot:  
Lot Size/Acres: 0.25
County: Fulton
Print Listing
Property Details

Owner-finance for easy terms. Cash buyers can pay by debit or credit card as well. Nice lot to develop or hold for future value. Public water and electric may be available to run to property and will need septic. Owner/agent. No mobiles allowed. 1000 minimum build size on any other type of home, depending on subdivision. Finance is $100 finance fee and 5 months at $145 and closing costs are included. Buyer responsible for any/all taxes and lots sold "as-is". Quit claim deed conveys. Parcel ID# 200-13732-000

Owner-finance for easy terms. Cash buyers can pay by debit or credit card as well. Nice lot to develop or hold for future value. Public water and electric may be available to run to property and will need septic. Owner/agent. No mobiles allowed. 1000 minimum build size on any other type of home, depending on subdivision. Finance is $100 finance fee and 5 months at $145 and closing costs are included. Buyer responsible for any/all taxes and lots sold "as-is". Quit claim deed conveys. Parcel ID# 200-13732-000


In City Limits: Yes

Utilities: Some Util Avl-Not on Prop


Listing Status: Contingency
Subdivision: Lipan

Listed by: Exp Realty -

IDX logoIDX Data Provided By Cooperative Arkansas REALTORS® Multiple Listing Services, Inc. Some or all of the listings displayed may not belong to the firm whose website is being visited. Copyright© . The information provided is for the consumer's personal, non-commercial use and may not be used for any purpose other than to identify prospective properties that the consumer may be interested in purchasing. Information deemed reliable, but not guaranteed. Some or all of the listings displayed may not belong to the firm whose web site is being visited.