Details for Listing #26003539
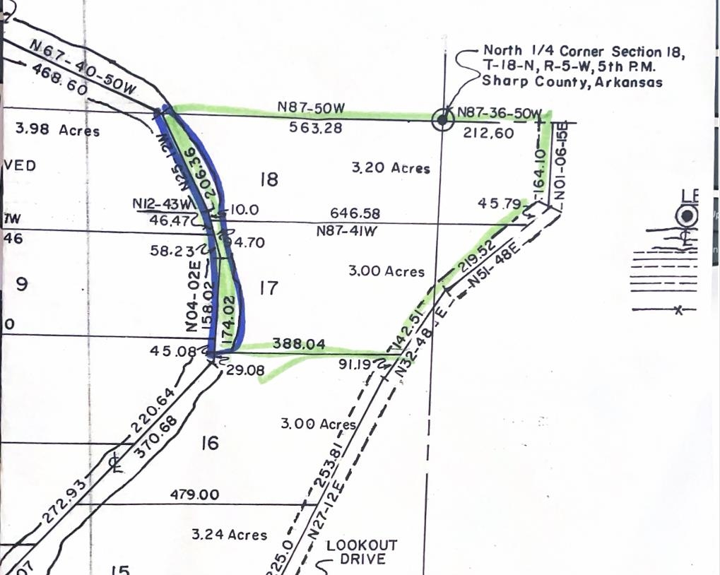
Creekfront Land for Sale in Highland, AR – 6.65 Acres on North Big Creek | Sharp County Arkansas Property How would you like the perfect place to build your dream home in the beautiful Ozarks?? No restrictions! This 6.65-acre creekfront property in Beaver Estates, Highland, Arkansas, offers over 380 feet of frontage on North Big Creek, providing peaceful water views, privacy, and excellent recreational opportunities. Located in Sharp County, AR, this land features excellent building sites with scenic views overlooking the North Big Creek valley, making it ideal for a custom home, cabin, or weekend retreat. Enjoy a quiet country setting while remaining conveniently close to Highland, Hardy, Cherokee Village, and Ash Flat. Utilities are ready with NAEC electric and high-speed fiber internet available, making this property suitable for full-time living, remote work, or investment property use. Outdoor enthusiasts will appreciate being within 10 minutes of Lake Thunderbird, Lake Sequoyah, Cherokee Lake, Omaha Lake, Navajo Lake, Chanute Lake, and Aztec Lake, offering fishing, boating, kayaking, and hiking opportunities nearby.
Creekfront Land for Sale in Highland, AR – 6.65 Acres on North Big Creek | Sharp County Arkansas Property How would you like the perfect place to build your dream home in the beautiful Ozarks?? No restrictions! This 6.65-acre creekfront property in Beaver Estates, Highland, Arkansas, offers over 380 feet of frontage on North Big Creek, providing peaceful water views, privacy, and excellent recreational opportunities. Located in Sharp County, AR, this land features excellent building sites with scenic views overlooking the North Big Creek valley, making it ideal for a custom home, cabin, or weekend retreat. Enjoy a quiet country setting while remaining conveniently close to Highland, Hardy, Cherokee Village, and Ash Flat. Utilities are ready with NAEC electric and high-speed fiber internet available, making this property suitable for full-time living, remote work, or investment property use. Outdoor enthusiasts will appreciate being within 10 minutes of Lake Thunderbird, Lake Sequoyah, Cherokee Lake, Omaha Lake, Navajo Lake, Chanute Lake, and Aztec Lake, offering fishing, boating, kayaking, and hiking opportunities nearby.
In City Limits: No
Utilities: Some Util Avl-Not on Prop • Electric-Co-op
Listed by: United Country Cotham & Co. -
IDX Data Provided By Cooperative Arkansas REALTORS® Multiple Listing Services, Inc.
Some or all of the listings displayed may not belong to the firm whose website is being visited. Copyright© . The information provided is for the consumer's personal, non-commercial use and may not be used for any purpose other than to identify prospective properties that the consumer may be interested in purchasing. Information deemed reliable, but not guaranteed. Some or all of the listings displayed may not belong to the firm whose web site is being visited.